The earliest morning of the trip….got up at 6:15 to get in line for the tenders that would take you from the ship (anchored three miles off shore) to Belize.
Kevin thought it was pretty early…..Matthew thought Kevin made a good seat…
The parking spot. Note the large island to the north…..
We made it ashore and met up with our tour group. The plan for today was to take a plane from Belize City up to the island of San Pedro and then head out by boat for snorkeling at Hol Chan and Shark Ray Alley.
Kevin, Christopher, and I sat right behind the pilot….it was pretty cool being able to see the instruments and having better views.
Kevin took this picture as we flew along….never went above 3000 feet. Won’t get any frequent flyer miles for this hop
Hol Chan:
We arrived in San Pedro, also known as Amberguis Caye, around 9 am. San Pedro may sound familiar….it’s famous in this song (and probably others)…
A picture from the boat as we head out to Hol Chan…..you can see the waves breaking on the reef in the distance
I' struggled with how to present the next part of the day; I have more than 80 pictures from the snorkeling plus more from later in the day. In the past, I’ve just linked the slideshow from shutterfly when I’ve had this many photos, but, now that I have the technology to make books out of my blog posts, I think I’m better served posting them here. So, this is going to get kind of long….
These first two pictures were before I switched over to the underwater ‘filter’ on the camera. This seems as good a time as any to mention that we don’t snorkel enough….there was more than a little confusion as we were getting ready to get in the water and struggles with the mask and tubes fitting….we only brought the masks and tubes and picked up fins here, but I think next time we need to bring five separate bags instead of all of them in one and not being assured of getting the same one each time….
I guess I’ll have to go back and get a fish identification sheet or something….we saw so many different fish that it was hard to keep track of what we saw (when I was processing these photos I saw fish that I didn’t see while in the water!). The big one above is certainly the biggest ‘fish’ that we saw all day
This is Louis, our tour guide for the day. Unlike the Hawaii trip (and we didn’t know this going in), Louis was going to guide us all around the reef and show things to us. I’m not sure this meant more swimming overall, but, it did mean that you swam when he wanted you to and that became an issue for Christopher and Suzanne later on….strong currents combined with mask and tube issues were not good…
The blue tint here means that this picture is ‘deeper’, that stingray is sleeping about twenty something feet down. Louis dove down and woke him up….
The different varieties of coral were amazing….one of the other things I noticed as I processed the photos that there was a big difference between the coral here and Shark Ray Alley….and that was only a few miles away
Probably my best fish photo…..
Near the boat there were three of four turtles hanging around…when I got in the water I was so busy with my ‘fit’ and helping Cpher that I didn’t get any photos then. I did get this series of pictures when we returned to the boat…..
Shark Ray Alley:
So, after we finished in Hol Chan we headed over to Shark Ray Alley. The combination of fish, sharks, rays, gentler currents, and better mask fit, for me, made this stop the better of the two and I’d say it’s the best snorkeling ‘stop’ I’ve had in our short snorkeling history.
For years, the locals would come to this part of the reef and clean their fish and throw the chum into the water. And the fish, and the nurse sharks, and the stingrays have figured this out. So every time a boat comes up and the engine slows, they come closer
The nurse sharks show up at the beginning, but, as soon as the human fins hit the water they start to take off. I think the biggest nurse shark I saw was about five to six feet in length.
The other fish and stingrays; they are there for the duration…..they’ll drift off if another boat comes in but a) you could always swim over to that boat to see them and b) they would always come back…..
Maybe the best photos I have of the nurse shark (I have one clip of video that’s better…but that’s a different situation and will have to wait for the video postings)
Like at Hol Chan, Louis took us on a tour around the area…..Suzanne and Christopher stayed in the boat.
We shared this tour with another family from Indianapolis…who are really good friends with a family in Okemos!. We know of the family….the name is familiar and I think I’ve interacted with one of them but not much more than that….kind of interesting. They had a girl, Madeline, a little older than Christopher that stayed behind on this leg of the snorkeling tour as well…..
I thought the coral in this part of the reef was simply spectacular.
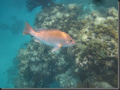
There’s a red fish in this picture that I didn’t remember seeing out in the water….
This stingray was asleep about three or four feet below the surface…..
There was only this one little patch of this blue-purple coral….all alone in a sea of gray-white sand…
I took three pictures of this angel fish…this was the best of them
Louis fed a few rays and brought them up so that Matthew and Kevin could touch them. Christopher jumped into the water when we got back and got to see the rays and fish, so, that was good too….
Kevin checking out…something….
Heading back to San Pedro
We had lunch on the island and then headed back over to the airport.
The dive shop that we left from….
The beach….
looking out at the docks and the reef
We are talking about the basic definition of an airport here…one small building for a terminal and one long paved not very wide runway. And that paving part is pretty suspect…..
The flight back is three hops, San Pedro to Caye Caguilar, Caye to Belize International, Belize Int to Belize City
Just some really pretty views from the plane…….of course, when you mix sun, water, heat, humidity, and the nice hypnotic drone of the plane, you get…
They woke up when we landed in Belize City though….
The Evening:
Not much to report here; made it back to the port, made it back to the Dream. Dinner was an on-your-own mish-mash of things…I think the pizza guy may have gotten tired of seeing Matthew….he probably ate a whole pizza throughout the night…
This is the door to Suzanne’s cabin; there are these 1930-1940 casually elegant scenes all around the ship near the cabins
We went to the musical production (Dancing in the Streets) at 8:30…arrived at 8:05 and only could find seats high on the one side and they were obstructed. Fric and Frac both seemed to like it. Christopher went back to the cabin afterwards and Suzanne and I went up to the Lido Deck for the 10 pm laser show….ran into Matthew up there on yet another pizza run…
Heading south to Roatan
 
